【黒島水面マンタ】に遭遇!石垣島スタートの冬ダイビング!カメに地形!
3月の連休終了!
ここから先は1-2組のご案内予定、かつお休みもちらほらと。
4月頭は船を上架し、定期検査とオイル交換系をしちゃいましょうね!
昨年から頑張ったAQUA号の船底も塗りなおさなきゃ!
お客様のエスコート以外も大忙しですな!
さて!
・冬の醍醐味!水面マンタに会いたいな!
・黒島方面の見どころはなんですか?
・アオウミガメにも会いたいな
そんな方が気になる方への本日のブログです♪
ダイビングが最高の思い出になるお手伝いをさせてもらえたら嬉しいな!
楽しい思い出作りのお手伝い!
記憶と記録に残るダイビングを!
週末や連休!
繁忙期は早目のお問い合わせをお願いいたします!
LINEですぐに返信が来ちゃいますよ♪
======================
【スタッフ募集中!!!】
詳細はLINEやメッセージ。何でも構いません!
お問い合わせお待ちしております!!
\\インストラクター求人情報//
https://ryaaan-ishigaki.com/blog/ishigaki-island-diving-staff-recruitment-information.html
\\ダイブマスター / 研修生求人情報//
https://ryaaan-ishigaki.com/blog/ishigaki-island-diving-staff-divemaster-trainee-recruitment-information.html
======================
まず、恒例の動画から!
なんと!
ご参加の方皆様へ!
無料で!!
プレゼントしておりまーす!!
ここまで皆様に寄り添うダイビングショップは…。
ないと思いますよ(笑)
▽ YouTube動画 ▽
目次
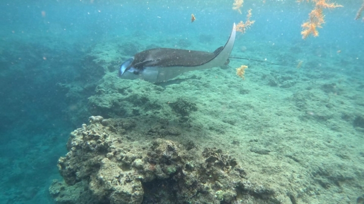
冬の醍醐味!水面マンタに会いたいな!
当日の風の強さ次第ではございますが。
風向きも大事ではございますが。
黒島の西側エリアで12-3月は水面マンタを観察できるシーズンとなっております。
春が近づくと南風なので行けなくなり。
また、冬真っ盛りの時は北風が強すぎると行けなかったり。
ただ!
海況次第では間近でマンタに会えることも!?

黒島方面の見どころはなんですか?
ドロップオフの地形の見どころは。
各地で穴。洞窟が多めの地形です!
光が差す洞窟内はとっても幻想的!
水深も深くないことが多いので、初めての洞窟ダイビングも楽しめかも!

アオウミガメにも会いたいな
石垣島周りや黒島周りでは多くのアオウミガメに遭遇することがございます。
比較的人慣れしているので。
こんなに接近してもリラックスモード。
思い出の写真や動画が取れちゃうかも!?

まとめ
カップルダイビングやグループダイビングでもお写真・動画が盛り沢山!
【学生割引も実施中 2026年】
https://ryaaan-ishigaki.com/blog/student-discount-campaign-2026-support-students-next-year-too-diving-in-ishigaki-island.html
石垣島ダイビング!
メニューは問わず!
体験ダイビング、ライセンス講習、FUNダイビング!
皆様が楽しめること間違いなし☆
…スタッフも募集中ww
こんな内容のダイビングショップです。
ご興味持っていただきました?
是非、他のブログも覗いてみて下さいね♪
▽体験ダイビング▽
https://ryaaan-ishigaki.com/experience-diving/
▽ライセンス講習▽
https://ryaaan-ishigaki.com/license-course/
▽FUNダイビング▽
https://ryaaan-ishigaki.com/fun-diving/
みなさまと、石垣島でお会いできるのを楽しみにしております♪
海の中で会いましょう♡
#830202 RYAN